|
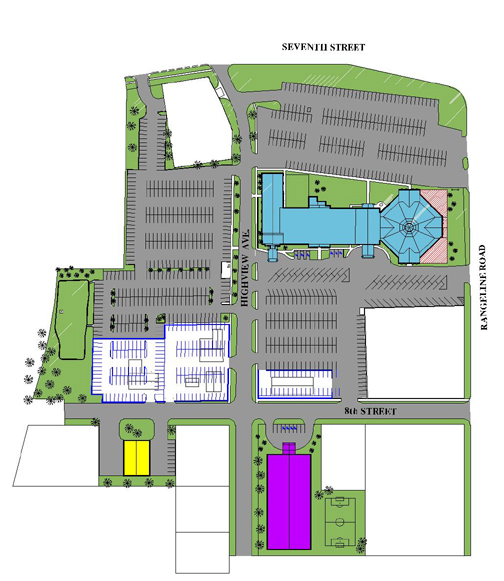
Owner: Forest Park Baptist Church Location: Joplin, Missouri Design/Build Description: Master plan site analysis, choir room addition, bus and worship facility, new family life center, and additional parking.. Size: 51,151 Sqft. Approximate
Joplin Construction Design & Management,
Inc. is honored to announce that we have been awarded a four (4) year,
contract to Design/Build Phases II through IV as shown
on the following drawing. This Design/Build project includes
a 100 seat chapel, choir room addition, music studio, family life
center, worship storage building with indoor van parking, outdoor
athletic fields, and additional parking lots.
|


Forest Park Baptist Church
Joplin, Missouri
Copyright © 2010 Joplin Construction Design and Management